(Herunterladen) Aktivitäten Nähe Mannheim

Postcard Exchange Germany Mannheim

Stroud Is All Over The Place A Splendid Afternoon In Mannheim

Rafael Moneo A F A S I A

Mannheim On Foot From Jen S Lens

Jean Mannheim Plein Air Painter Tutt Art Pittura Scultura

Mannheim On Foot From Jen S Lens

Essec Global Mba Essec Business School Mannheim Exchange Week

From Mannheim With Love

Temple Of Crime Bruno Mannheim Animation Bugged Dc Universe

Jax Stumpes Mannheim Luisenpark 3 1 2013

Inside The Rock Poster Frame Blog Metallica Mannheim Print By Ben

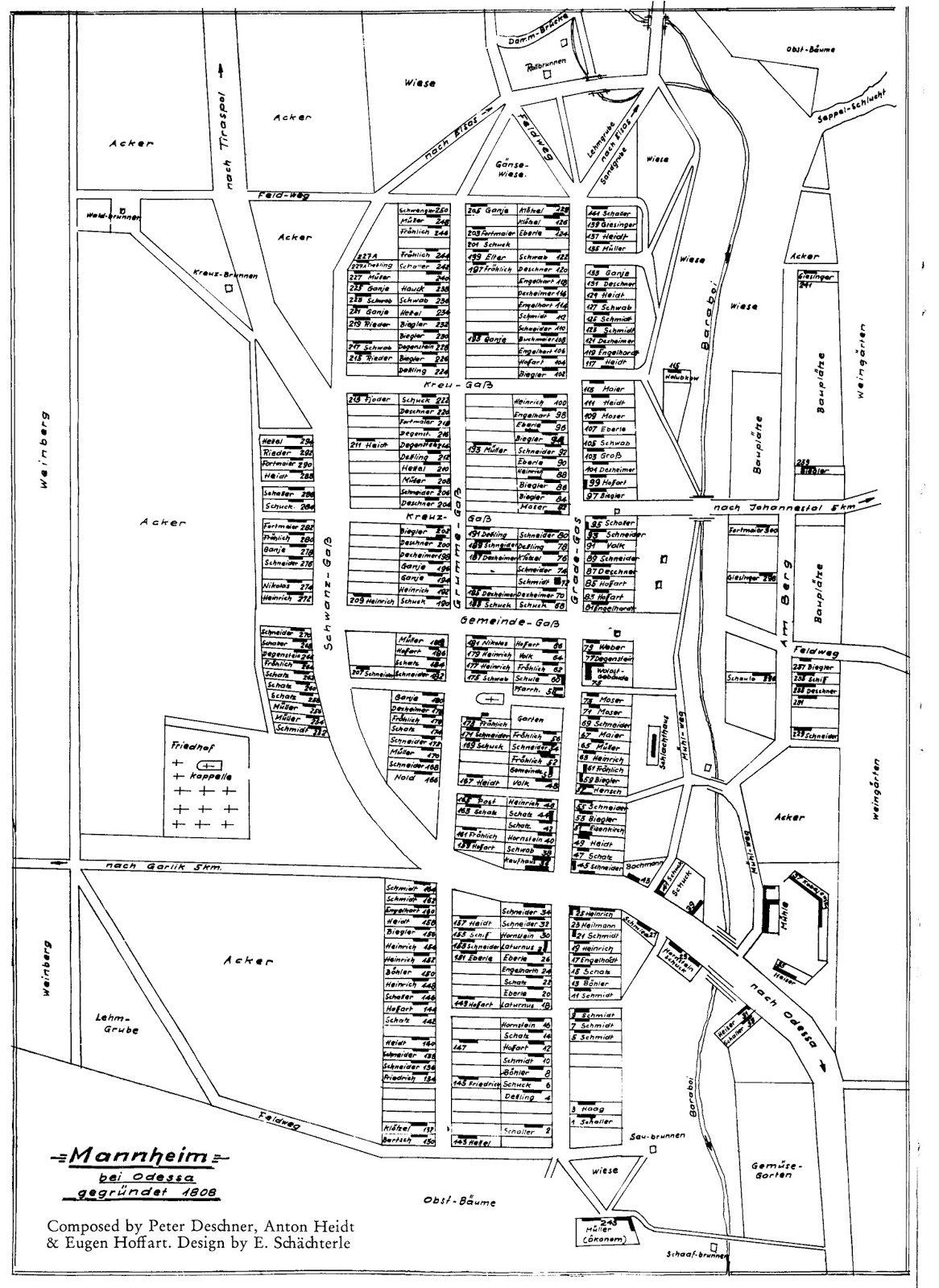
Germans From Russia Settlement Locations The Founding Of The

Germans From Russia Settlement Locations April 2019

Box Alarm To The 5th Level At Durango Supermercado On North

Herakut Brothers Helping Sisters Helping New Mural In Mannheim

Gardening In Mannheim Germany A Late Afternoon Fall Stroll In

Case New Mural In Mannheim Germany Streetartnews Streetartnews

Jax Stumpes February 2013

Giveaway 2 Tickets To Mannheim Steamroller At The Fox Fashion

Music Is The Key Orchester Des Nationaltheater Mannheim Bjork S

This And That And More Of The Same In 1955 Germany S Mannheim Was

Germans From Russia Settlement Locations The Founding Of The

Time Warp 2010 At Mainmarkthalle Mannheim Live Sets Techno Live

Leonie Lowenherz Page 15 Chan 9606447 Rssing Com

A Christmas Tree For Kitchen Aunt Peaches

Leonie Lowenherz Page 15 Chan 9606447 Rssing Com

A Homeschool Story Germany Mannheim

Jax Stumpes February 2013

Kunsthalle Mannheim By Gmp Architekten Aasarchitecture

Filming Locations Of Chicago And Los Angeles Chicago Pd Season 4

Google Lat Long Imagery Update Week Of January 9th

Rafael Moneo A F A S I A

Case New Mural In Mannheim Germany Streetartnews Streetartnews

Foss Patents Mannheim Court Reverses Position On Frand Defense

Leonie Lowenherz Page 15 Chan 9606447 Rssing Com

Germans From Russia Settlement Locations The Founding Of The

Mannheim On Foot From Jen S Lens

Jean Mannheim Plein Air Painter Tutt Art Pittura Scultura

Foss Patents Ipcom Patent Holding Firm To Relentlessly Enforce

Charge Shot Thoughts Of An Aspiring Music Snob Week 87

Temple Of Crime Bruno Mannheim Animation Bugged Dc Universe

Welcome To Rosemont Il Newgeography Com

Love Laurie Mannheim Steamroller Live

Foss Patents Ipcom Patent Holding Firm To Relentlessly Enforce

Wandering Izzy About Me

Foss Patents Motorola Mobility S Use Of Frand Patents Against

Design Stack A Blog About Art Design And Architecture

Google Lat Long Explore The World With Tour Guide And 3d Imagery

Wandering Izzy About Me

Newly Promoted Waldhof Mannheim 19 20 Home Away Kits Released

Essec Global Mba Essec Business School Mannheim Exchange Week

Brad S Excellent Adventure Barocknacht Mannheim

Kunsthalle Mannheim By Gmp Architekten Aasarchitecture

Google Lat Long Explore The World With Tour Guide And 3d Imagery

Radiatoremblems Heim Germany

Kunsthalle Mannheim By Gmp Architekten Aasarchitecture

We Took The Road Less Traveled Mannheim Christmas Market

New Record For A Lange 1 In Steel At Dr Crott Auctioneers Time

Hutko S Tech Law Notes Wipo Summer School

We Took The Road Less Traveled Mannheim Christmas Market

Charge Shot Thoughts Of An Aspiring Music Snob Week 87

Ortner Ortner A F A S I A Page 2

Nordex Obtains Unit Certificate For N117 3000 Reve News Of The

Book Review Walt Disney And The Quest For Community Imaginerding

Inside The Rock Poster Frame Blog Metallica Mannheim Print By Ben

Foss Patents Mannheim Court Reverses Position On Frand Defense

Inside The Rock Poster Frame Blog Metallica Mannheim Print By Ben

Leonie Lowenherz Page 15 Chan 9606447 Rssing Com

Foss Patents Ipcom Patent Holding Firm To Relentlessly Enforce

Foss Patents Ipcom Patent Holding Firm To Relentlessly Enforce

Germans From Russia Settlement Locations Mannheim Kutschurgan

Essec Global Mba Essec Business School Mannheim Exchange Week

Anne Frank Nathan Laurenziu

Kohlmayer Oberst Architekten A F A S I A

Jean Mannheim Plein Air Painter Tutt Art Pittura Scultura

Jax Stumpes February 2013

Essec Global Mba Essec Business School Mannheim Exchange Week

Welcome To Rosemont Il Newgeography Com

Kunsthalle Mannheim By Gmp Architekten Aasarchitecture

Europan Search Results A F A S I A Page 19

Richard S Tram Blog Mannheim On 1 October 2019

We Took The Road Less Traveled Mannheim Christmas Market

Radiatoremblems Heim Germany

Google Lat Long Imagery Update Week Of January 9th

Jean Mannheim Plein Air Painter Tutt Art Pittura Scultura

Foss Patents Ipcom Patent Holding Firm To Relentlessly Enforce

Hennemusic Video Metallica Perform Tour Debut Of 1996 Rarity In

Jean Mannheim Plein Air Painter Tutt Art Pittura Scultura

Open Innovation Blog June 2014

We Took The Road Less Traveled Mannheim Christmas Market

Gigon Guyer Architekten A F A S I A

Newly Promoted Waldhof Mannheim 19 20 Home Away Kits Released

Jean Mannheim Plein Air Painter Tutt Art Pittura Scultura

The Desperate Pastor Blog Church Of The Week Gottesdienstblatt

Charge Shot Thoughts Of An Aspiring Music Snob Week 87

We Took The Road Less Traveled Mannheim Christmas Market

We Took The Road Less Traveled Mannheim Christmas Market

Planet Hugill Heroic Undertaking Weinberg S The Idiot

A Christmas Tree For Kitchen Aunt Peaches

Foss Patents Motorola Mobility S Use Of Frand Patents Against

Filming Locations Of Chicago And Los Angeles Chicago Pd Season 4

Foss Patents Mannheim Court Reverses Position On Frand Defense

Kunsthalle Mannheim By Gmp Architekten Aasarchitecture

Germans From Russia Settlement Locations The Founding Of The

Newly Promoted Waldhof Mannheim 19 20 Home Away Kits Released

Welcome To Rosemont Il Newgeography Com

Herakut Brothers Helping Sisters Helping New Mural In Mannheim

Gardening In Mannheim Germany A Late Afternoon Fall Stroll In

Jax Stumpes February 2013

Leonie Lowenherz Page 15 Chan 9606447 Rssing Com

Jax Stumpes February 2013

A Christmas Tree For Kitchen Aunt Peaches

We Took The Road Less Traveled Mannheim Christmas Market

Herakut Brothers Helping Sisters Helping New Mural In Mannheim

Neil Young News Neil Young Promise Of The Real Mannheim

Jean Mannheim Plein Air Painter Tutt Art Pittura Scultura

Google Lat Long Explore The World With Tour Guide And 3d Imagery

Jean Mannheim Plein Air Painter Tutt Art Pittura Scultura

Foss Patents Microsoft V Motorola Battlemap Updated 51 Patents

Newly Promoted Waldhof Mannheim 19 20 Home Away Kits Released

Essec Global Mba Essec Business School Mannheim Exchange Week

Google Lat Long Imagery Update Week Of January 9th

Jean Mannheim Plein Air Painter Tutt Art Pittura Scultura

Foss Patents Ipcom Patent Holding Firm To Relentlessly Enforce

Rhapsodies Of The Wise Old Bird Gardens Luisenpark Mannheim

Foss Patents Mannheim Regional Court S Second Civil Chamber

Kunsthalle Mannheim By Gmp Architekten Aasarchitecture

Paramahamsa Sri Swami Vishwananda Bhakti Marga Darshan In

Time Warp 2010 At Mainmarkthalle Mannheim Live Sets Techno Live

Richard S Tram Blog Mannheim On 1 October 2019

Europan Search Results A F A S I A Page 19

We Took The Road Less Traveled Mannheim Christmas Market

Neil Young Spielt In Dresden Berlin Mannheim Und Munchen

Herakut Brothers Helping Sisters Helping New Mural In Mannheim

Love Laurie Mannheim Steamroller Live

Herakut New Mural In Mannheim Germany Streetartnews Streetartnews

Jean Mannheim Plein Air Painter Tutt Art Pittura Scultura

Music Is The Key Orchester Des Nationaltheater Mannheim Bjork S

Google Lat Long Imagery Update Week Of January 9th

Newly Promoted Waldhof Mannheim 19 20 Home Away Kits Released

Herakut New Mural In Mannheim Germany Streetartnews Streetartnews

Diana Elle Blog That Time We Were Going To Visit Mannheim The

Jean Mannheim Plein Air Painter Tutt Art Pittura Scultura

New Record For A Lange 1 In Steel At Dr Crott Auctioneers Time

Mba At Durham University Business School An Invitation For

Hennemusic Pro Video Metallica Perform Atlas Rise In Mannheim

Jean Mannheim Plein Air Painter Tutt Art Pittura Scultura

Planet Hugill Freshness Energy Victoria Stevens On Her New Le

Wandering Izzy About Me

Gigon Guyer Architekten A F A S I A

Time Warp 2010 At Mainmarkthalle Mannheim Live Sets Techno Live

We Took The Road Less Traveled Mannheim Christmas Market

Essec Global Mba Essec Business School Mannheim Exchange Week

We Took The Road Less Traveled Mannheim Christmas Market

Foss Patents Mannheim Regional Court S Second Civil Chamber

We Took The Road Less Traveled Mannheim Christmas Market

The Desperate Pastor Blog Church Of The Week Gottesdienstblatt

Gigon Guyer Architekten A F A S I A

Neil Young Spielt In Dresden Berlin Mannheim Und Munchen

Jean Mannheim Plein Air Painter Tutt Art Pittura Scultura

Planet Hugill Heroic Undertaking Weinberg S The Idiot

Filming Locations Of Chicago And Los Angeles Chicago Pd Season 4

Paramahamsa Sri Swami Vishwananda Bhakti Marga Darshan In

Jean Mannheim Plein Air Painter Tutt Art Pittura Scultura

Jax Stumpes Mannheim Luisenpark 3 1 2013

Ryley Reads Mannheim Rex By Robert Pobi Book Review

Leonie Lowenherz Page 15 Chan 9606447 Rssing Com

Herakut Brothers Helping Sisters Helping New Mural In Mannheim

Jean Mannheim Plein Air Painter Tutt Art Pittura Scultura

Welcome To Rosemont Il Newgeography Com

A Homeschool Story Germany Mannheim

Germans From Russia Settlement Locations The Founding Of The

Foss Patents Ipcom Patent Holding Firm To Relentlessly Enforce

Case New Mural In Mannheim Germany Streetartnews Streetartnews

Foss Patents Mannheim Regional Court S Second Civil Chamber

Germans From Russia Settlement Locations Mannheim Kutschurgan

Gigon Guyer Architekten A F A S I A

Germans From Russia Settlement Locations April 2019

Time Warp 2010 At Mainmarkthalle Mannheim Live Sets Techno Live

Mannheim On Foot From Jen S Lens

Germans From Russia Settlement Locations The Founding Of The

Radiatoremblems Heim Germany

Germans From Russia Settlement Locations The Founding Of The

This And That And More Of The Same In 1955 Germany S Mannheim Was

Newly Promoted Waldhof Mannheim 19 20 Home Away Kits Released

Jax Stumpes February 2013

Jean Mannheim Plein Air Painter Tutt Art Pittura Scultura